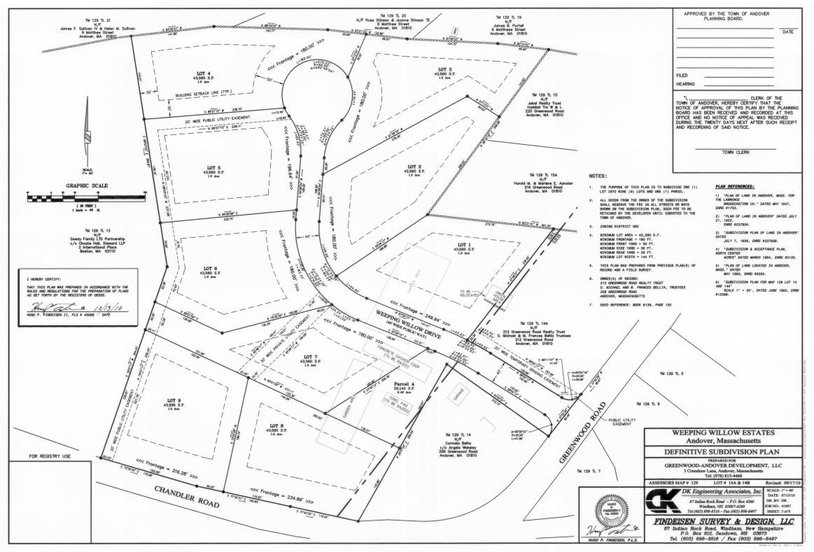
Weeping Willow Estates

Click image to view full document

Weeping Willow Estates Definitive Subdivision Plan

Category: Permitted

Plan/File Number: PL10-3195 & SP10-04

Applicant: Greenwood-Andover Development, LLC

Project Description: 9-Lot Definitive Subdivision Plan and a Special Permit for Earth Movement located off Greenwood Road. 

View Subdivision Approval

View Special Permit

View Definitive Subdivision Plan Set