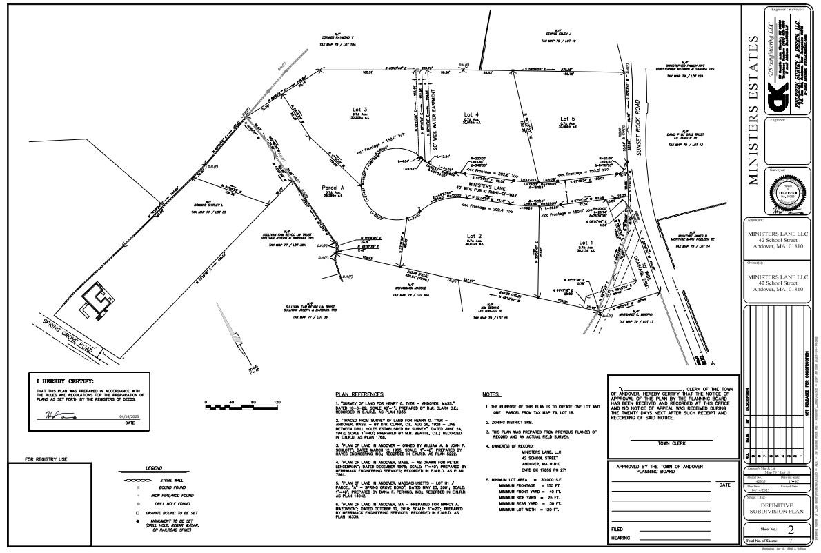
Ministers Estates - 39 Sunset Rock Road

Click to View Full Document

Ministers Estates v.2

Category: Under Appeal

Plan/File Number: PL25-3399 & SP25-01

Applicant: Ministers Lane, LLC

Project Description: 5-Lot Definitive Subdivision Plan and Special Permit for Earth Movement located at 39 Sunset Rock Road.

At the September 9, 2025 meeting, the Planning Board closed the public hearing and voted to approve with conditions the Definitive Subdivision Plan and Special Permit for Earth Movement. Vote:(6-0)

Definitive Subdivision Approval

Special Permit Decision

applicant submittal

  1. Definitive Subdivision Plan Application
  2. Subdivision Plan Set
  3. Special Permit for Earth Movement Application
  4. Earth Movement Report
  5. Drainage Report
  6. Illicit Discharge Statement
  7. Notice to the Board of Health
  8. Notice to the Town Clerk
  9. Letter from Raymond Cormier RE: Ownership of 84 Spring Grove Road 4.13.25
  10. Letter from Raymond Cormier and Haley Blacklow RE: Ownership of 45 Sunset Rock Road 4.13.25
  11. Letter to Planning RE: Ownership of the Property
  12. DPW Sketch RE: Water Service 5.12.25
  13. Horsley Witten Group Initial Stormwater Peer Review 5.12.25
  14. Horsley Witten Group 2nd Stormwater Peer Review 6.23.25
  15. Planning Board Meeting Presentation 5.13.25
  16. Memorandum from the Director of Public Health RE: IDR Comments 5.16.25
  17. Board of Health Recommendation 5.16.25
  18. Applicant Response to Stormwater Peer Review 6.1.25
  19. Revised Subdivision Plan Set 6.1.25
  20. Revised Drainage Report 6.1.25
  21. Horsley Witten Group Second Stormwater Peer Review 6.20.25
  22. Extension of Time Notice 6.25.25
  23. Applicant Response to Horsley Witten Group Second Stormwater Peer Review 7.7.25
  24. Revised Subdivision Plan Set 7.7.25
  25. Revised Drainage Report 7.7.25
  26. Stormwater Operation & Management Plan 7.7.25
  27. Horsley Witten Group Third Stormwater Peer Review 7.10.25
  28. Applicant Response to Horsley Witten Group Third Stormwater Peer Review 7.15.25
  29. Revised Subdivision Plan Set 7.15.25
  30. Drainage Supplemental Report 7.15.25
  31. Horsley Witten Group Fourth Stormwater Peer Review 7.21.25
  32. Planning Board Meeting Presentation 7.22.25
  33. Applicant Response to Horsley Witten Group Fourth Stormwater Peer Review 7.29.25
  34. Revised Subdivision Plan Sheets 4, 6, 7 & 8 7.24.25
  35. Revised Drainage Supplemental Report 7.28.25
  36. Revised Subdivision Plan Sheets 4 & 8 8.4.25
  37. Revised Drainage Report Supplemental Report 8.4.25
  38. Horsley Witten Group Fifth Stormwater Peer Review 8.5.25
  39. Revised Landscape Plan 8.4.25
  40. Revised Definitive Subdivision Plan Set 8.14.25